Quality results. Fast turnaround.
That's Peua.
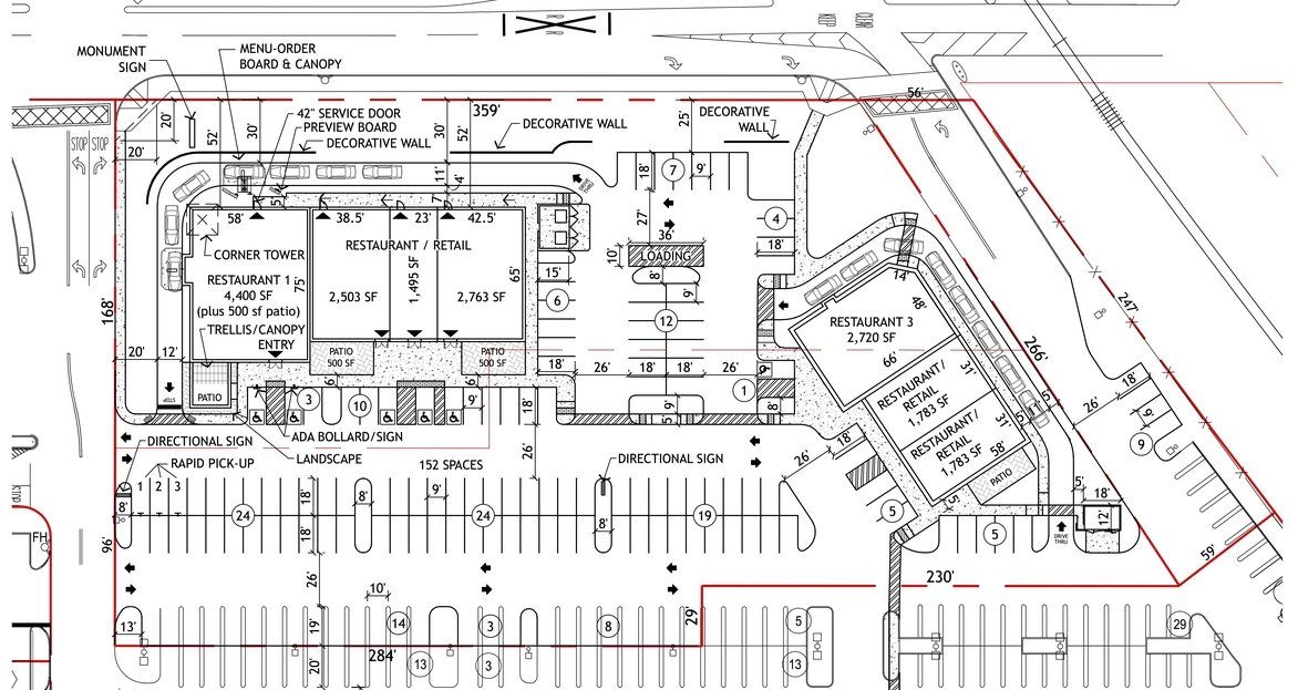
Land Development and Site Plan Design in Laredo, Texas


“I have tried other consultants that worked fine, but Peua is certainly the best of them all. They bring efficiency to everything they do.”
Mario A. Peña, Architect/Principal
Hickey Peña Architects, Laredo
“If you are looking for a high quality company, I highly recommend Peua. They are the very best in the field, no compromise.”
Alfonso Arguindegui, CEO
Arguindegui Oil, Laredo











